Contact Info
DataCenter Info
Thursday, November 27, 2025
Site Search:
You are here:
DataCenter
>
CT
>
Litchfield Hills
>
Sharon
Sharon Town Green
Select a Green:
Please Select
Academy Hill Common
Academy Hill Green
Ashford Green
Bean Hill Green
Bethlehem Green
Birdsey’s Plain
Bolton Center Green
Branford Green
Bridgewater Town Green
Broad Street Green
Broad Street Green
Broad Street Green (aka Milford Green)
Brooklyn Green
Cannon Square
Canterbury Green
Canton Green
Center Green
Central Park
Chapin Park (Pine Meadow Green)
Chelsea Parade
Cheshire Church Common
City Hall Park
Civil War Memorial Park
Clinton Park
Coe Park
Colchester Town Green
Colebrook Green
Collinsville Green
Columbia Town Green
Congregational Church Green
Cornwall Hollow Green
Cornwall Village Green
Court House Green
Coventry Green
Crossroads Common (Library Green)
Danbury Green
Davis Park
Derby Green
Durham Town Green
East Haven Green
East Litchfield Green
Eastford Green
Ellington Town Green
Elmwood Park
Enfield Town Green
Falls Village Green
Federal Hill Green
Glastonbury Town Green (Hubbard Green)
God’s Acre
Gold Star Memorial Green
Goodman Green
Goshen
Granby Green
Green at Manchester Green
Green at Waterside Lane
Greenfield Hill Green
Guilford Green
Hanover Green
Harwinton Green
Hebron Green
Huntington Center Green
Ivoryton Town Park
Jesup Green
Kenea Park and Cannon Park
Lebanon Green
Ledyard Green
Libby Kellogg Green
Liberty Green
Liberty Green
Litchfield Town Green
Little Plain Park
Long Hill Green
Madison Green
Meeting House Green
Meeting House Green
Meeting House Green, Westminster Green
Memorial Green
Memorial Green - Town Green
Middlebury Green
Middlefield Green
Mill Plain Road
Millington Green
Milton Green
Monroe Center Green (Town Hall Green)
Moodus Green
Morris Memorial Park
Naugatuck Green
New Haven Green
New Milford Town Green
New Preston Hill
Newington Center Green
Nichols Farm Green
North Branford Town Green
North Canaan Memorial Green
North Haven Center Green
North Parade
Northfield Green
Northford Green
Norwalk Green
Norwichtown Green
Document Link
Description
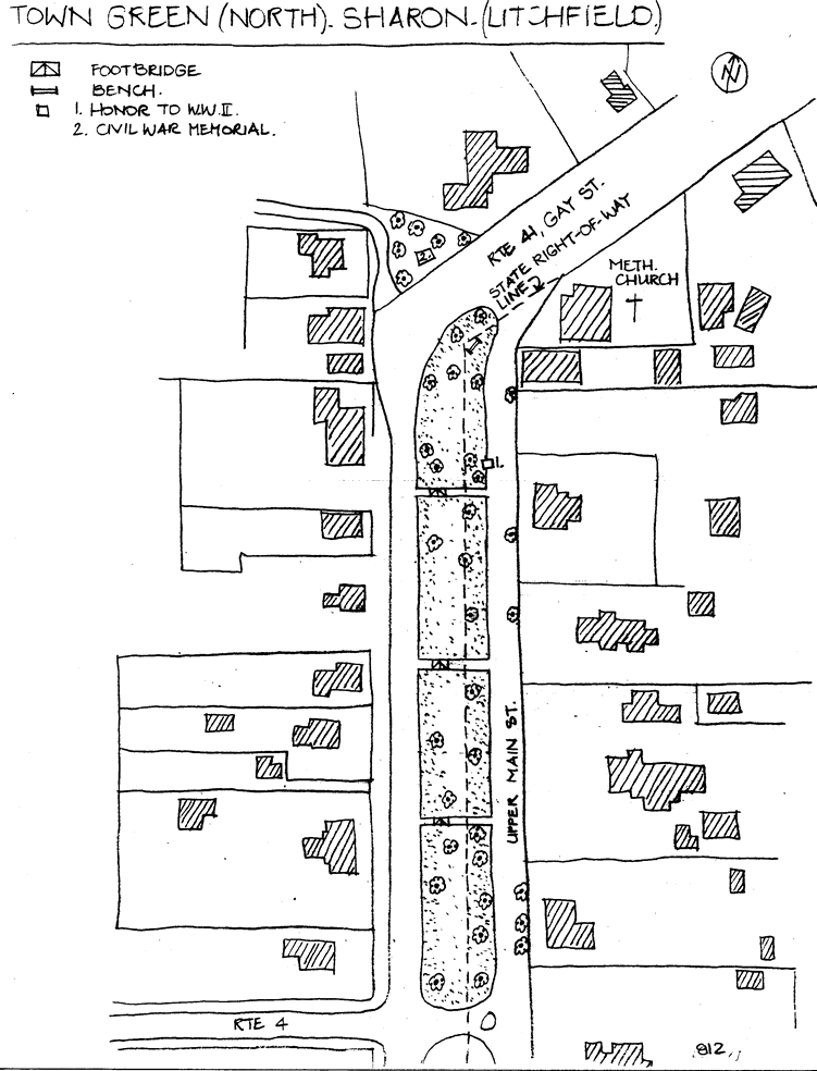
sharon a map
sharon b map
research greens
Background on the Survey: How the CT Trust conducted its 1991-92 survey of town greens
Home
|
GreenLink
|
Exhibits
|
DataCenter
© 2001–2025 TownGreens.com